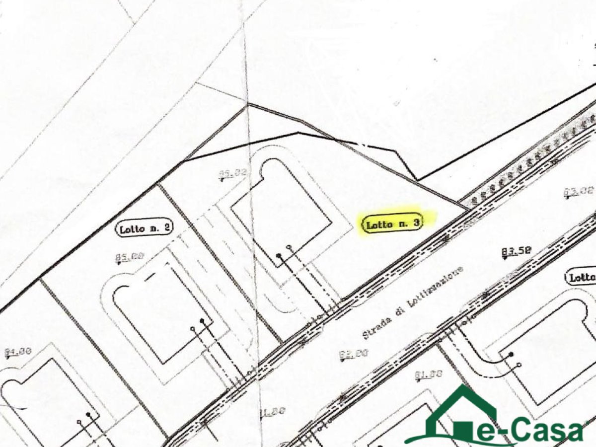
VILLAFRANCA TIRRENA - CASTLE AREA, E-CASA OFFERS FOR SALE, PLOT OF BUILDING LAND. This unique opportunity offers the possibility of creating the villa of your dreams, with a ready-made typical project for a single villa that can be customized according to your needs.\n\nHilly area of Villafranca Tirrena, residential and quiet.\n\nLarge outdoor space for garden, green areas and landscape customization.\n\nConvenient and practical access through a driveway.\n\nEnjoy stunning views of the surrounding hillside with sea views.\n\nIF YOU HAVE DECIDED TO SELL OR EXCHANGE YOUR PROPERTY, OR SIMPLY TO KNOW ITS VALUE, WE ARE AVAILABLE TO GIVE YOU A FREE VALUATION\n\nDon't miss this extraordinary opportunity to build the home of your dreams in one of the most desired areas of Villafranca Tirrena, away from the hustle and bustle but at the same time in close proximity to essential services such as schools, shops and public transport.\nEasy access to major communication routes.\n\nFOR INFORMATION AND/OR INSPECTION, CONTACT DIRETTAMEN0TE THE CONSULTANT ON 39 375 6633576\n\nOUR REAL ESTATE AGENCY DEALS WITH APARTMENTS FOR SALE OR RENT THROUGHOUT THE MESSINA AREA AND IN THE PROVINCE.\n
